Family: Xyloryctidae

Timber Moths

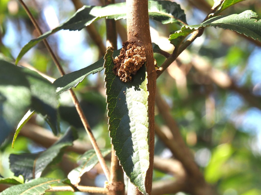
The Cryptophasa albacosta caterpillar bores a hole into the branch of a tree and emerges at night to drag leaves into the borehole which are consumed at leisure. It creates a silky pile of frass at the borehole entrance. Other Cryptophasa species may do a similar thing.

The changes in the frass were monitored on sapling Ackama paniculosa and are shown below. It is 2m 42cm above the ground, up three quarters of the tree height. After a month the leaf was discarded and found on the ground. It is most probably a Cryptophasa larva.

The photos below show timber moth borers on Acacia melanoxylon. Note the green leaf and remnants of dried, eaten leaves attached to the bore holes. New leaves are added at night when the larva exits the bore hole and drags a leaf back fixing it to the frass. One larva is feeding on a dead leaf. They are possibly Cryptoptophasa rubescens which is said to feed on wattle.